Service Guide

Get Ants Extermination Service

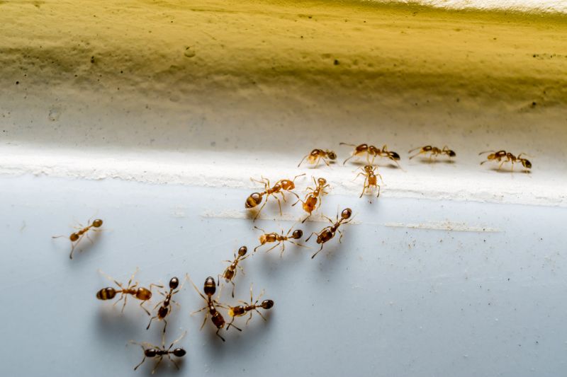
Local contractors provide ant extermination services to eliminate infestations and protect properties from damage caused by ants.

Ants can be a persistent nuisance for property owners, often leading to concerns about cleanliness, property damage, or simply an unwanted presence. If you're facing an ant problem, you're in the right place to explore solutions. Local contractors who specialize in ant extermination services understand the unique challenges faced in your area and can provide effective strategies to address these issues. By considering professional assistance, property owners can better plan their approach to pest control and ensure a thorough resolution.

Exploring your options among nearby service providers can help you compare methods and find the right fit for your needs. Many local contractors offer tailored solutions designed to manage ant infestations efficiently. Continuing to read can provide valuable insights into how professional ant extermination services can help maintain a pest-free environment and protect your property from future issues.

Get Ants Extermination Service Quotes

  • Ants Extermination - needed when ants invade indoor spaces and create persistent nests.
  • Ants Control - required to eliminate ant colonies in yards and outdoor areas.
  • Ants Removal - necessary when ants threaten food storage or household hygiene.
  • Ants Pest Management - sought after for ongoing ant issues in residential or commercial properties.
  • Ants Eradication - essential when ant infestations disrupt daily activities and comfort.
Ants Extermination Service
Ants Extermination Service
Ants Extermination Service

Ants extermination services involve professional techniques to identify, eliminate, and prevent ant infestations in residential and commercial properties. Service providers typically conduct a thorough inspection to locate ant colonies and entry points, then apply targeted treatments such as baits, sprays, or dusts to eradicate the pests. These treatments are designed to address the specific species present and to reduce the likelihood of future invasions, helping property owners regain control over their indoor and outdoor spaces.

Ant problems can cause a range of issues for homeowners, from nuisance and inconvenience to potential damage. For example, certain ant species may invade kitchens and pantries in search of food, contaminating supplies and creating unsanitary conditions. Other types, like carpenter ants, can burrow into wood structures, leading to structural damage over time. Professional extermination services help resolve these problems efficiently, minimizing the risk of recurring issues and protecting the property’s integrity.

These services are commonly used on various property types, including single-family homes, apartment complexes, commercial buildings, and even restaurants or food establishments. Homes with gardens, outdoor patios, or landscaping are particularly susceptible to ant invasions, especially during warmer months. Property owners experiencing persistent ant activity or noticing ant trails and nests often seek professional help to eliminate the problem and prevent future outbreaks.

Choosing to work with local contractors ensures that property owners receive tailored solutions suited to their specific situation. These service providers are equipped to handle different ant species and infestation levels, offering effective treatment options for both immediate relief and long-term prevention. Whether dealing with a minor nuisance or a significant invasion, professional ant extermination services can help restore comfort and cleanliness to any property.

The overview below groups typical Ants Extermination Service projects into broad ranges so you can see how smaller, mid-sized, and larger jobs often compare in your area.

In many markets, a large share of routine jobs stays in the lower and middle ranges, while only a smaller percentage of projects moves into the highest bands when the work is more complex or site conditions are harder than average.

Initial Inspection and Spot Treatments - Typical costs range from $150 to $300 for a basic inspection and targeted treatments. Many routine inspections fall within this range, though larger infestations may increase the price.

Perimeter Barrier Applications - Installing a barrier around a property usually costs between $300 and $700. Most projects in this category are on the lower to mid end, with fewer reaching the higher tiers.

Full-Scale Ant Extermination - Complete eradication services often range from $600 to $1,200 for standard homes. Larger or more complex properties can see costs exceeding $2,000 in some cases.

Ongoing Maintenance Plans - Regular treatment plans typically cost between $100 and $300 per visit. Many clients opt for quarterly visits, which tend to fall within this range, while more frequent services may be higher.

Actual totals will depend on details like access to the work area, the scope of the project, and the materials selected, so use these as general starting points rather than exact figures.

Get a Quote

Pest Control for Cockroaches - professionals use similar inspection, treatment, and prevention techniques to eliminate pests from indoor environments.

Termite Inspection and Treatment - involves planning and executing targeted treatments to address invasive insects, comparable to ant extermination strategies.

Rodent Control Services - require identifying entry points and setting traps, skills applicable to managing ant entry and nesting sites.

Bed Bug Extermination - involves thorough inspection and targeted treatment methods similar to those used in ant control projects.

Spider Removal Services - require careful inspection and removal techniques that align with pest exclusion and elimination practices.

Wildlife Removal - involves planning and implementing safe removal of animals, sharing skills in pest management and habitat disruption.

Ants Extermination Service

When evaluating potential service providers for ant extermination, it’s important to consider their experience with similar projects. Homeowners should look for local contractors who have a proven track record in handling ant control issues comparable to their own. An experienced professional will understand the common challenges associated with ant infestations and be familiar with effective methods tailored to different types of properties and environments. This familiarity can contribute to a more efficient and effective treatment process, reducing the likelihood of recurring problems.

Clear written expectations are essential when choosing a local contractor for ant extermination services. Homeowners should seek providers who can offer detailed descriptions of their approach, including the scope of work, any preparations needed, and follow-up procedures. Having this information in writing helps ensure everyone is aligned on what will be done and prevents misunderstandings. It also provides a reference point for evaluating the quality of service and for addressing any concerns that might arise during or after the treatment.

Reputation and communication are key factors in selecting a reliable service provider. Homeowners are encouraged to review references or testimonials from previous clients to gauge the contractor’s professionalism and effectiveness. Good communication skills are equally important; a local contractor who responds promptly, clearly explains options, and listens to specific concerns can make the process smoother and more transparent. Remember, this site introduces homeowners to local options for ant extermination services, but the actual work is performed by independent contractors who can best meet those needs.

Get an Ants Extermination Service Quote

Property owners use Ants Extermination Service services for practical projects around their homes and businesses. This guide focuses on everyday jobs and straightforward project options.

Ants Extermination Service
Ants Extermination Service

Ants can become a common nuisance for property owners dealing with everyday issues such as food contamination, structural damage, or simply an increase in unwanted pests around their homes or businesses. When ants invade kitchens, pantry areas, or outdoor spaces, many seek the help of local contractors experienced in pest control and extermination. These service providers can assess the situation, identify the ant species involved, and implement targeted solutions to eliminate the infestation effectively.

In addition to visible ant trails and nests, property owners might turn to local contractors when ants begin to interfere with outdoor activities or compromise the integrity of a building’s foundation. Whether it’s a minor ant presence or a more substantial problem, experienced pest control professionals can provide the necessary treatment options to restore comfort and prevent future invasions. Connecting with local service providers ensures that property owners receive tailored assistance suited to their specific needs.

Get an Ants Extermination Service Quote

How do local contractors identify ant infestations? They typically perform a thorough inspection of the property to locate ant trails, nests, and entry points, helping determine the extent of the infestation.

What methods are used by ants extermination services? Service providers may use baiting, liquid treatments, or dust applications to eliminate ants and prevent future invasions.

Are there specific types of ants that local pros can handle? Yes, experienced contractors can address common household ants such as carpenter ants, odorous house ants, and pavement ants.

How can I prepare my home for ant extermination services? It is recommended to clear clutter near entry points and ensure accessible areas for treatment, following any specific instructions provided by the service provider.

What should I do after an ant extermination treatment? It's advisable to monitor the treated areas and follow any guidance from the contractor to maintain a pest-free environment.

Ants Prevention Tips - Property owners can learn practical methods to reduce ant attractants around their homes and gardens.

Inspection and Identification - Local contractors can help identify ant entry points and nesting sites to develop targeted treatment plans.

Customized Extermination Plans - Homeowners can explore tailored strategies that fit their specific property layout and ant issues.

Ongoing Maintenance Advice - Property owners can receive guidance on keeping their outdoor spaces less appealing to ants over time.

Ants Extermination Service

If you are thinking about Ants Extermination Service for a property, this guide is meant to help you understand the work, the typical project types, and how different options might fit your plans.

When you are ready, you can use the quote form on this page to share a few details about your project. From there, local pros can review the basics and respond with options that match what you have in mind.

Get a Quote

Ants Extermination Quotes

Our Trusted Partners
Cleveland Chemical Pest Control Service
Cantu Pest Control
Protector Pest Solutions